TPLOの手術後は約二週間の入院で退院可能。
もうしばらくの辛抱でお家に帰れます♪
と、言いたいところですが・・・。
そうもいかなくなってしまいました(´-ω-`)
それは右脚の手術後、
柿嶌先生より、「いちくんの左脚もTPLO手術をするべき」とのお話がありました。
まっ・・・まぁ・・・薄々そういう話になるだろうな。
とは思ってました。
それはどういう事かと言うと、
先に診てもらったクルーズさんでも同じ様な事を言われたのですが、
今回、右脚の前十字靭帯が断裂してしまいましたが、左側の脚も靭帯が伸びていて更に一部断裂していると診断されました。
クルーズさん曰く、最初は左脚の前十字靭帯に異常があり、それを右脚で庇っていたら先に右脚の靭帯が断裂しまったんじゃないか・・・との事。
しかも、右を手術しても、この状態だと、今後高い確率で左脚も断裂する・・・とまで言われました。
更にERの検査では、左脚の膝蓋骨脱臼を確認。
大腿骨にある膝蓋骨が収まる滑車溝が浅いみたいで、脱臼しやすい骨の状態なんだそうです。
滑車溝が浅いのは恐らく生まれつきのモノで、前十字靭帯断裂も、これを庇っての事だったんじゃないかというのが、ERの見解。
要は、こんな状態だから断裂する前に左脚も手術してしまいましょう!
って事です(=_=)
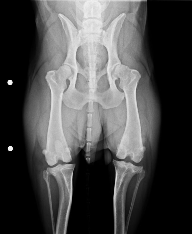
↓ 楕円形に見えるのが膝蓋骨(膝のお皿)
左脚(写真右側)の膝蓋骨が滑車溝のところにない。
そうは言っても、まだ切れてもいないモノを、「はい、そうですか」つって手術するのは、手術内容からして、かなりハードルが高いです(;´・ω・)
しかも両足いっぺんに手術したら、その後暫らくの生活は大丈夫なのか?とか、手術に耐えられるのか?とか、不安以外なかったです^^;
・・・あと、お金の心配・・・(´-ω-`)
最初は少し考えさせてくれと、即答は出来なかったです。
ただ、いちくんの年齢を考えると、更に年齢がいってからの手術は避けたいし、二度もリハビリするのは可哀そうかとも思う。
今回、両方の脚を手術してしまえば、リハビリ期間も一度で短く済むし、鎮静剤使用の総合検査もし直さなくてもいい。
そう自分に言い聞かせて、再び左脚のTPLO手術を決断するのでありました!!
それに実際、両足同時期に手術した症例もあり、片脚手術したのと同じに生活できるんだそうですぜ!
と、そんなこんなで、またしても手術(´;ω;`)
そんな2度目の手術前日、
気が付かぬ間に、もう片側のお尻の毛、刈られてた。
飼い主なのに直ぐに気が付かなくてゴメンネ・・・。
あんまり見た目、変わらなかったから・・・ ^^;
ただ、この類が苦手な いちくんが・・・、
よく他人に毛を刈らせたものだ・・・。
実に信じがたい・・・。
気になったからスタッフの方に聞いたら、
「普通に刈れましたよ~」
だってさ!
だいぶ手懐けたなぁ・・・。
と、感心する私なのでありました~。
★つづく★



